Cảnh báo mưa to, dông, lốc, sét, gió giật mạnh khu vực Hà Tĩnh

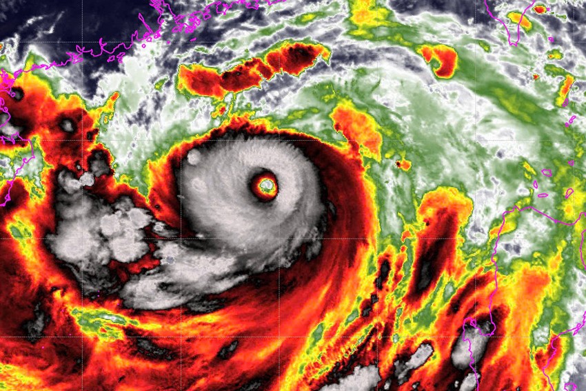
Trên ảnh mây vệ tinh, mắt bão số 3 rất rõ, xoáy mây tròn đều cho thấy bão rất mạnh. Đêm nay (5/9), dự báo bão tiếp tục mạnh lên và khả năng đạt cấp siêu bão, với sức

Trên ảnh mây vệ tinh, mắt bão số 3 rất rõ, xoáy mây tròn đều cho thấy bão rất mạnh. Đêm nay (5/9), dự báo bão tiếp tục mạnh lên và khả năng đạt cấp siêu bão, với sức tàn phá cực lớn.

Theo tin dự báo từ Đài Khí tượng thủy văn tỉnh, do ảnh hưởng của hoàn lưu phía Tây Nam cơn bão số 3 nên khu vực Hà Tĩnh chiều tối ngày 6/9 có mưa rào và dông rải rác. Từ đêm 6/9 đến sáng ngày 8/9 có mưa, rải rác mưa vừa, có nơi mưa to và dông. Lượng mưa các khu vực phổ biến 50 - 100 mm, có nơi trên 120mm; trong mưa dông có khả năng xảy ra lốc, sét và gió giật mạnh. Nguy cơ xảy ra lũ quét, sạt lở đất tại các huyện vùng núi và ven sông suối, ngập úng cục bộ tại các khu vực trũng, thấp.

Để chủ động ứng phó với mưa lớn trên địa bàn tỉnh, Văn phòng Thường trực Ban Chỉ huy Phòng chống thiên tai và Tìm kiếm cứu nạn tỉnh đề nghị các địa phương, đơn vị thực hiện nghiêm Công điện số 11/CĐ-UBND ngày 4/9/2024 của Chủ tịch UBND tỉnh về việc khẩn trương ứng phó với bão số 3 năm 2024.

Theo dõi chặt chẽ, cập nhật các thông tin về tình hình diễn biến thời tiết để thông tin, hướng dẫn kịp thời cho các cấp chính quyền, người dân biết để có các biện pháp ứng phó.

Rà soát các phương án ứng phó với các tình huống mưa lớn, lốc, sét, ngập lụt, lũ quét, sạt lở đất trên địa bàn để sẵn sàng triển khai thực hiện khi xảy ra tình huống; lưu ý các biện pháp đảm bảo an toàn cho người dân ở các khu vực nguy cơ cao, hạ du hồ chứa, an toàn đê điều, hồ đập, sông suối, ngầm, tràn và các khu vực ngập sâu; tổ chức thường trực 24/24h tại các công trình tiêu, thoát lũ, nhất là các cống tiêu lớn để chủ động vận hành tiêu thoát nước chống ngập úng, nhất là đối với diện tích lúa hè thu chưa thu hoạch.

Đài Khí tượng Thủy văn tỉnh theo dõi chặt chẽ, thường xuyên, cập nhật tình hình diễn biến thời tiết; phối hợp với Báo Hà Tĩnh, Đài PTTH tỉnh để cập nhật kịp thời thông tin và diễn biến của mưa, lũ tăng cường thông tin để người dân biết, chủ động phòng tránh.

Các địa phương, đơn vị tố chức trực ban nghiêm túc và thường xuyên báo cáo về Văn phòng Thường trực Ban Chỉ huy Phòng, chống thiên tai và Tìm kiếm cứu nạn tỉnh biết, để tham mưu chỉ đạo.

Hồi 13 giờ ngày 5/9, vị trí tâm siêu bão ở vào khoảng 19,2 độ Vĩ Bắc; 115,2 độ Kinh Đông, trên vùng biển phía Bắc khu vực Bắc Biển Đông, cách đảo Hải Nam (Trung Quốc) khoảng 460km về phía Đông. Sức gió mạnh nhất vùng gần tâm siêu bão mạnh cấp 16 (184-201km/h), giật trên cấp 17, di chuyển theo hướng Tây, tốc độ khoảng 10km/h...

Theo BHT

Link: https://baohatinh.vn/canh-bao-mua-to-dong-loc-set-gio-giat-manh-khu-vuc-ha-tinh-post273099.html

Xem nhiều nhất

Chủ tịch Ủy ban nhân dân tỉnh phát động phong trào thi đua yêu nước năm 2026

Năm 2026 là năm đầu thực hiện Nghị quyết Đại hội Đảng bộ tỉnh lần thứ XX, kế hoạch phát triển kinh tế – xã hội 5 năm 2026–2030 và tổ chức bầu cử đại biểu Quốc hội khóa XVI, HĐND các cấp nhiệm kỳ 2026–2031. Phát huy kết quả phong trào thi đua yêu nước năm 2025, nhằm thực hiện thắng lợi các mục tiêu phát triển kinh tế – xã hội, bảo đảm quốc phòng – an ninh, lập thành tích chào mừng Đại hội Đảng toàn quốc lần thứ XIV và các ngày lễ lớn năm 2026, Chủ tịch UBND tỉnh phát động phong trào thi đua yêu nước năm 2026 với chủ đề: “Thi đua đổi mới, sáng tạo, tăng tốc về đích sớm các chỉ tiêu, nhiệm vụ năm 2026.” 14/01/2026